CEMSEARCH-uk

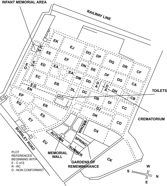
Plan Of Accrington Cemetery
Burnley Road Accrington

Plan Of Accrington Cemetery

Back To Plans

Accrington Surname Search

Return to Home Page

Disclaimer